首页
学会概况
党建工作
新闻动态
科普教育
学会专家
江苏动物
会员登记
动物研究
联系我们
动物达人
您现在所在的位置:
首页
>>
中国蜉蝣研究专栏
>>
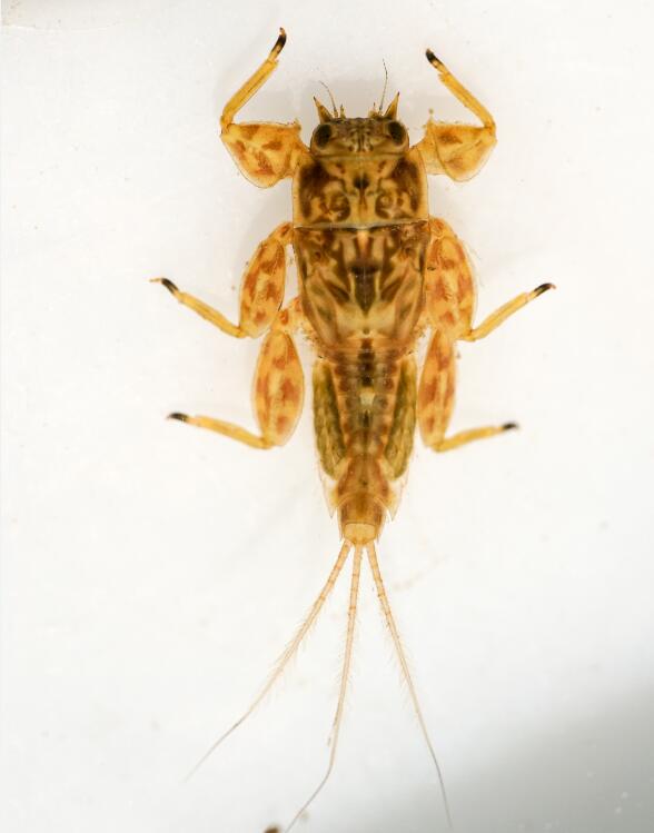
越南蜉科
中华越南蜉
发布日期:2020-05-22 浏览次数:396
---版权所有:江苏省动物学会 技术支持:
南京先极科技有限公司