首页
学会概况
党建工作
新闻动态
科普教育
学会专家
江苏动物
会员登记
动物研究
联系我们
动物达人
中国蜉蝣研究专栏
扁蜉科 Heptageniidae
短丝蜉属 Siphlonuridae
四节蜉科 Baetidae
无爪蜉科 Behningiidae
细裳蜉科 Leptophlebiidae
小蜉科 Ephemerellidae
古丝蜉科
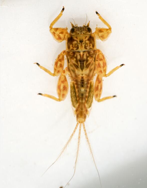
越南蜉科
生命·人物 | 守住中国蜉...
您现在所在的位置:首页 >> 中国蜉蝣研究专栏
>> 越南蜉科
中华越南蜉
---版权所有:江苏省动物学会 技术支持:
南京先极科技有限公司